Cargando...
00.0 FM
LIVE
MÁS ESTACIONES
Los Mochis

Mexinol junto a las comunidades: un proyecto que nace del diálogo y apuesta por un desarrollo responsable
Por Redacción
22 de abril, 2026

Gobierno de El Fuerte refuerza acciones preventivas contra el dengue y llama a la participación ciudadana
Por Redacción
22 de abril, 2026

Policía acompañó a equipo de grabación por costosos equipos y no conocer Los Mochis: Alcalde
Por Misael Valenzuela
22 de abril, 2026

Parque Sinaloa celebra Día Mundial de la Tierra con actividades ambientales en escuelas de Ahome
Por Mayra Escalante
22 de abril, 2026

Comerciantes de Los Mochis esperan un aumento en las ventas por Día del Niño y de las Madres
Por Erika Ruelas
22 de abril, 2026

Invitan al Gran Circo Trapiche por 10mo aniversario en Los Mochis
Por Mayra Escalante
22 de abril, 2026
Culiacán

Sinaloa fortalece la coordinación intermunicipal en materia de seguridad pública
Por Redacción
22 de abril, 2026

Encarecimiento de la canasta básica supera el ingreso de las familias sinaloenses: PRI Sinaloa
Por Redacción
22 de abril, 2026

“El recurso está asegurado”: Rocha Moya garantiza pago a productores de maíz
Por Redacción
22 de abril, 2026

Rocha Moya dice no tener información sobre presunto operativo en la sierra; trasciende detención en Durango de “El Guano”
Por Samuel Sánchez
22 de abril, 2026

Wendy Barajas anuncia que alista denuncias contra más morenistas por presuntos actos anticipados de campaña rumbo a 2027
Por Samuel Sánchez
22 de abril, 2026

Precio de la gasolina en Sinaloa hoy miércoles 22 de abril de 2026
Por Redacción
22 de abril, 2026
Guasave

Destacan productores malas experiencias con el establecimiento de cultivos sembrados con humedad de lluvia
Por Cecilia Rivera
22 de abril, 2026

Los rendimientos de los maíces podrían mejorar en las próximas trillas; reporta la JLSV
Por Cecilia Rivera
22 de abril, 2026

¿Buscas trabajo? ¡Alista tu currículum! Anuncian Feria del Empleo en Guasave con más de 300 vacantes
Por Gema Castro
22 de abril, 2026
Guamúchil

Tenemos lista de espera; las despensas no nos alcanzan en el Banco de Alimentos de Guamúchil: Yajaira López
Por César Bojórquez
22 de abril, 2026

Festival del Día del Niño tiene nueva fecha y ubicación en Salvador Alvarado
Por César Bojórquez
22 de abril, 2026

INE presenta estadísticas de los pasados procesos electorales en la UAdeO de Guamúchil
Por César Bojórquez
22 de abril, 2026
Opinión Altavoz

ENTRE LA DENUNCIA MEDIÁTICA Y LA INFRACCIÓN JURÍDICA: COMO DISTINGUIR ACTOS ANTICIPADOS DE CAMPAÑA Y PROMOCIÓN PERSONALIZADA.
Por Redacción
16 de abril, 2026

Del dolor a la ley: mujeres que cambiaron el sistema jurídico
Por Redacción
14 de marzo, 2026

El estallido
Por Redacción
23 de enero, 2025
Más Noticias

Luisa Alcalde oficializa salida de dirigencia de Morena: acepta puesto en Consejería que le ofreció Sheinbaum
Por Redacción
22 de abril, 2026

García Harfuch confirma operativo federal contra “El Guano”, hermano de “El Chapo”, en Sinaloa
Por Redacción
22 de abril, 2026

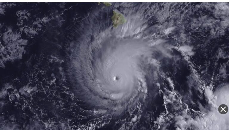
¿Cuántos huracanes se prevén en 2026? SMN revela pronóstico de ciclones para este año
Por Redacción
22 de abril, 2026

Avala jueza destrucción de alambrada fronteriza en Texas
Por Redacción
30 de noviembre, 2023

Corte Suprema rusa prohíbe al movimiento LGBT por «extremista»
Por Redacción
30 de noviembre, 2023

Quebec busca talento mexicano; abre lista de vacantes
Por Redacción
30 de noviembre, 2023

Sinaloa inicia con fuerza en Volibol de Playa, y apunta al Bicampeonato en la Olimpiada Nacional Conade 2026
Por Redacción
22 de abril, 2026

Un oro y dos platas más para Sinaloa en Ciclismo dentro de la Olimpiada Nacional Conade 2026
Por Redacción
22 de abril, 2026

Pioneros cae en el arranque de la serie ante Rayos
Por Misael Valenzuela
22 de abril, 2026

Muere Ricardo de Pascual, actor de «El Chavo del 8» y «Vecinos»
Por Redacción
21 de abril, 2026

Reactivan eventos masivos en Culiacán; Banda MS se presentará gratis el 9 de mayo
Por Samuel Sánchez
17 de abril, 2026

BTS anuncia una canción escondida en ARIRANG, así podrás escucharla
Por Redacción
4 de abril, 2026
Noticiero Altavoz
Cargando...
00.0 FM
LIVE
MÁS ESTACIONES
Fuerzas federales realizan operativo en Badiraguato; versiones manejan posible detención de “El Guan
174 vistas 111 minutes ago
Son tres los detenidos en mega operativo en Durango
131 vistas 9 hours ago
Encuentran muerto a un hombre en Los Mochis
170 vistas 12 hours ago



